Grundstücke am Herrenberg in Groß-Umstadt -170-800m²
64823 Groß-Umstadt
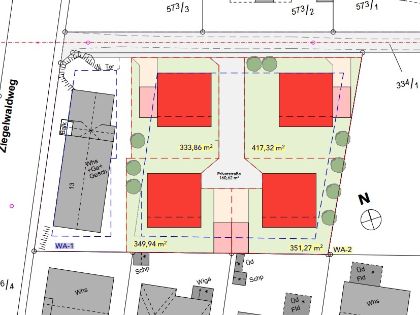
Objektbeschreibung
Zum Verkauf stehen mehrere attraktive Grundstücke im Bereich Ziegelwaldweg 13, 64823 Groß-Umstadt, Flurstück 205/2, Gemarkung Groß-Umstadt – in begehrter Lage am Herrenberg. Die Grundstücke befinden sich in einer der besten Wohnlagen Groß-Umstadts: ruhig, naturnah, mit Blick auf die Weinberge und den Herrenberg – ideal für Einfamilienhäuser, Doppelhaushälften oder hochwertige Bauprojekte.
Alle Versorgungsträger liegen bereits im Straßenraum vor den Grundstücken: Wasser/ Abwasser/Kanal/ Strom/ Telekommunikation Eine unkomplizierte und schnelle Erschließung ist somit möglich.
Die Grundstücke werden – abhängig von der Anzahl der Bieter – flexibel zugeschnitten. Auflagen aus öffentlich-rechtlichen Vereinbarungen (wie Erschließungsvereinbarungen oder städtebaulichen Verträgen) werden bei der finalen Grundstücksteilung vollumfänglich berücksichtigt und vertraglich im Kaufvertrag verankert.
Grundstücksvarianten
ca. 170 m² (z. B. Doppelhaushälfte)
ca. 330 m² (z. B. freistehendes Einfamilienhaus)
ca. 350 m²
ca. 380 m²
ca. 420 m²
ca. 800 m²
ca. 840 m²
Der Bodenrichtwert liegt bei 500 €/m². Gebote darunter können nicht berücksichtigt werden.
Weitere Beschreibung
Wichtige Informationen für Sie:
Der in Immobilienscout angezeigte Preis dient nur als Startgebot für das bevorstehende Bieterverfahren und ist nicht verbindlich. Der endgültige Kaufpreis wird im Rahmen des Bieterverfahrens ermittelt.
Das Bieterverfahren beginnt im Januar 2026
Eine Anfrage zur Teilnahme am Bieterverfahren kann bereits jetzt gestellt werden.
- Senden Sie uns dazu eine vollständig ausgefüllte Kontaktanfrage
- Bitte beachten Sie dass Sie für diese Kontaktaufnahme keine gesonderte Bestätigung erhalten.
Telefonische Anfragen können leider nicht berücksichtigt werden.
Die vollständigen Verfahrensunterlagen werden Anfang Januar 2026 per E-Mail bereitgestellt.
+++ Sollten Sie bis zum 10.01.2026 keine Nachricht von uns erhalten, schauen Sie bitte a) in Ihrem SPAM Ordner nach oder b) kontaktieren Sie uns erneut +++
Lagebeschreibung
Wohnen am Herrenberg
•Ruhiges, gewachsenes Wohngebiet mit hoher Lebensqualität
•Direkte Nähe zu Natur und Wanderwegen, ideal für Freizeit und Erholung
•Panoramablick über Groß-Umstadt und die Weinberge
•Sehr gute Anbindung an Innenstadt, Schulen, Einkaufsmöglichkeiten und öffentliche Verkehrsmittel
•Exklusive Wohnlage, die selten verfügbar ist
Diese Lage macht die Grundstücke besonders attraktiv für Familien, Bauherren und Kapitalanleger.
Telefon: 004961547009210
E-Mail: info@frprojektbau.de
| Objektdaten | |
|---|---|
| Objektart | Grundstück |
| Objektart - Grundstückstyp | Wohnen |
| Objekt ID | JR_Grd HB_GU_3 |
| Stadt | 64823 Groß-Umstadt |
| Kaufpreis | 400.000 € |
| Grundstücksfläche | 800.00 m² |
| Ausstattung |
|---|
| Energiedaten |
|---|



